世語圖說
2025年12月06日
登陸網站
聯繫我們
運動
生肖
奇趣
娛樂
情感
新聞
新聞
命理
美食
家庭
百科
健康
美妝
旅遊
健身
雞湯
軍事
漫畫
搞笑
政治
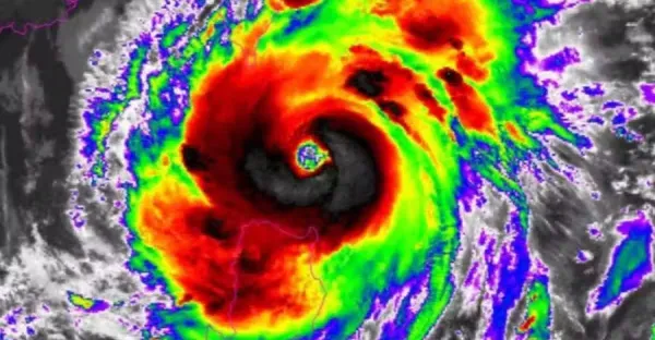
快訊/山陀兒大迴轉「明掃全台」4縣市風雨最劇
呂純弘 • 220次觀看
快訊/明天放不放颱風假?北北基宣布了
呂純弘 • 2K次觀看
泰學巴失火
晑騫翀 • 140次觀看
不斷更新/颱風山陀兒「10月2日」全台停班課資訊一次看
呂純弘 • 370次觀看
快訊/10/2颱風假放定了?7縣市宣布「明天停班停課」!
呂純弘 • 640次觀看
摩哆失控撞路旁電箱 華裔送餐員當場身亡
喬峰傳 • 3K次觀看
快訊/新北駕駛拒查「拖警撞護欄」 警所長「當場沒有生命跡象」殉職 肇事者「逃離現場」
呂純弘 • 230次觀看
快訊/10/2颱風假放定了?明天「8縣市停班停課」風雨預測達標!
呂純弘 • 3K次觀看
強台山陀兒/明天颱風假穩了?「這19縣市」暴風圈侵襲率飆破90%
呂純弘 • 880次觀看
最新/北北基桃宣布了! 全台各地「10/1停班課」出爐
呂純弘 • 7K次觀看
強度直逼強台!山陀兒「巔峰狀態直撲台灣」...明天「五縣市恐放颱風假」
呂純弘 • 1K次觀看
天氣/山陀兒「9縣市停班停課」有望!恐3天颱風假,專家:直逼強台了
呂純弘 • 460次觀看
苗栗男為了拿手機「18小時後成冰冷遺體」!妻小悲痛認屍「原本可以活下來的」
呂純弘 • 510次觀看
最新/山陀兒轉中台!22鄉鎮市區列「淹水警戒」,4縣市停班課
呂純弘 • 2K次觀看
快訊/爆炸聲不斷!台南永康五金賣場陷火海,員工急逃命
呂純弘 • 440次觀看
全台恐放颱風假!山陀兒颱風威脅大增「暴風圈狂掃全台」 海陸警齊發「時間點出爐」
呂純弘 • 2K次觀看
羅里連撞5車 女司機夾斃車內
符葉婭 • 220次觀看
山西2歲女童失蹤44天後陳屍崖底 母悲:心痛得無法呼吸
喬峰傳 • 330次觀看
載泥羅厘剎車器失靈 連撞4車 婦女小孩喪命
喬峰傳 • 1K次觀看
金價下跌,為什麼金店仍賣得貴?教你買黃金看準3個時間點去買最划算
奚芝厚 • 580次觀看
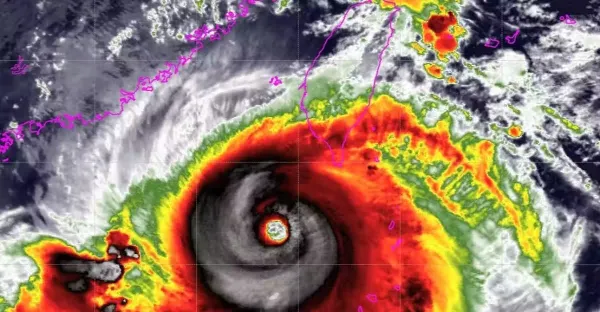
預測將登陸台灣!燕子颱風「強度上看中台」貼著北上 全台下3天「風雨最大時間」出爐
呂純弘 • 580次觀看
卓越教師腦溢血去世 巫裔學生瞻仰致敬
喬峰傳 • 160次觀看
靈鹿轎車失控翻覆 2華男 一死一重傷
喬峰傳 • 620次觀看
送7歲雙胞胎兒上學!3人遇難「再也回不了家」,老公痛哭「美滿家庭破碎」
呂純弘 • 700次觀看
«
Previous
53
54
55
56
57
58
59
60
61
62
»
Next